Warning: Undefined array key "cerca" in /var/www/html/pannello.php on line 14
Ostia Antica - Pannellistica

Castrum repubblicano

(Reg. I)

The central area and the official complexes


Warning: Undefined array key "zona" in /var/www/html/pannello.php on line 226

Warning: Undefined array key "zona" in /var/www/html/pannello.php on line 227

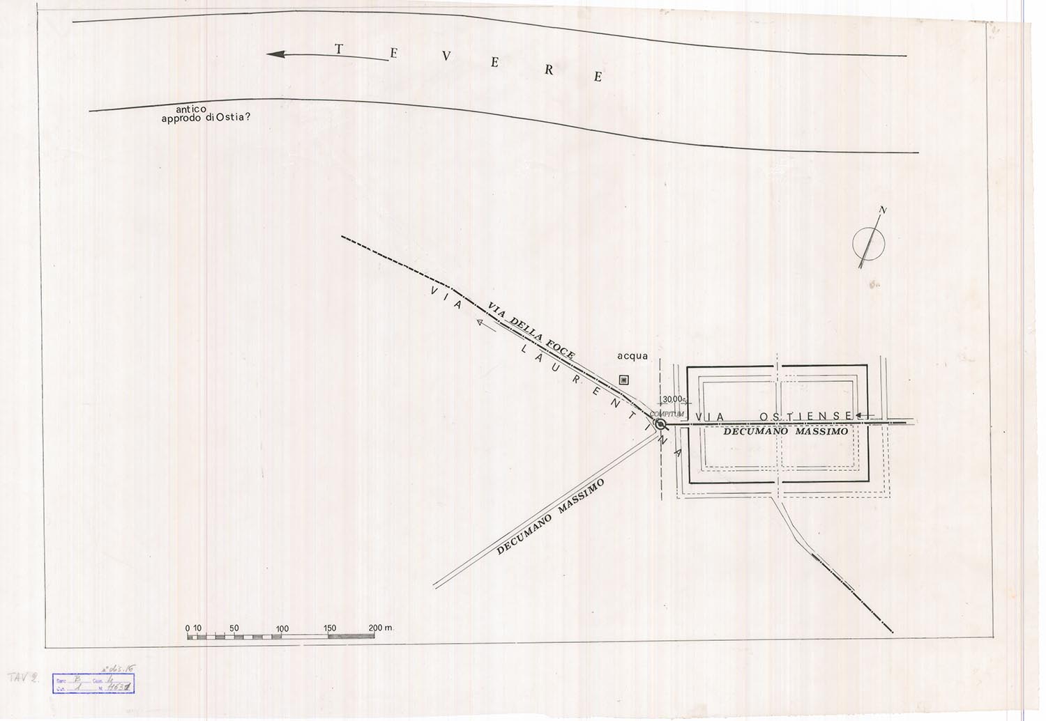
The castrum is the oldest part of the city of Ostia to be documented archaeologically; it dates to the 4th century BC. It is a fortified settlement surrounded by walls in tufa blocks with four gates, located at the ends of the main streets (the Cardo and Decumanus). Other streets at right angles subdivided the internal space into plots of regular shape occupied by temples, public buildings and especially houses. Already in the 3rd century BC, the settlement stretched outside the walls, which had lost their original defensive function: Rome’s expansion in the Mediterranean had gradually reduced the city’s military role and simultaneously increased its commercial vocation.

Plan of the castrum with the finds of the Republican period

Detail of the walls of the castrum

Republican architectural terracottas from the excavations of the castrum

Layout of the castrum and of the connected roads

Layout of the castrum’s eastern gate (I. Gismondi, 1925-1926)

Excavation of the castrum’s eastern gate

Sezione Multimediale

Per poter fruire dei contenuti video di questa sezione, è necessario munirsi di un visore multimediale Google Cardboard o simile

Alla scoperta dei Dinosauri

Durata: 03:00 minuti